L’impact des ouragans sur la biodiversité

José, Irma ou Katrina, des noms presque familiers pour des phénomènes dévastateurs. Comme l’homme, la biodiversité est directement touchée par les ouragans.

Abonnés
L'impact des ouragans sur la biodiversité - La Salamandre
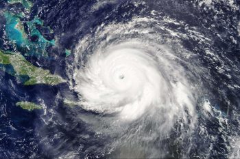
L'ouragan Irma vu par le satellite Terra, le 7 septembre 2017 / © NASA

Cette année, la saison des ouragans a été particulièrement dévastatrice. La nature est également sensible à ces évènements que le réchauffement climatique rend de plus en plus fréquents. Quels sont les impacts des ouragans et autres tempêtes sur la biodiversité ?

Voyage forcé

Les naturalistes remarquent facilement les impacts directs d’un ouragan sur la faune. Les ornithologues Suisses ont par exemple observé des oiseaux marins transportés vers l'intérieur des terres par le vent. Ces observations inhabituelles concernent par exemple des mouettes de Sabine, comme celles actuellement présentes sur le lac de Neuchâtel et le lac Léman, ou des mouettes tridactyles. Ces espèces qui se trouvent normalement en mer très au large trouvent momentanément refuge sur les grands lacs du plateau Suisse.

En 1990, après le passage de l’ouragan Hugo en Caroline du Sud, des chercheurs ont observé la destruction des nichées d’ibis blancs. Un an après le passage de l’ouragan, le nombre de couples reproducteurs a chuté, menant presque à la disparition de l’espèce sur ce territoire.

L'impact des ouragans sur la biodiversité - La Salamandre
La rosalie des Alpes a besoin de bois mort de hêtre pendant plusieurs années pour son développement / © Kabóca

Des habitats naturels détruits

En plus d’affecter directement les animaux, les ouragans peuvent provoquer des dommages importants aux milieux naturels. La tempête Lothar de 1999 en France a par exemple fait tomber près de 270 millions d’arbres. Des dégâts importants quand on considère qu'il faut au moins 20 ans pour que la forêt retrouve le même état qu’avant une tempête.

La chute des arbres peut cependant être bénéfique pour d'autres espèces. Le bois mort serait en effet l'habitat de nombreux insectes rares, comme la rosalie des Alpes ou le pique-prune. Les oiseaux comme les pics ou les chouettes peuvent en profiter dans un second temps. De plus, la chute des arbres crée des clairières naturelles qui diversifient les espèces. Un mal pour bien !

Même si les milieux de vie des animaux ne sont pas forcément totalement détruits, ce sont les effets indirects de la disparition de la végétation qui sont les plus importants. En Guadeloupe, après le passage des ouragans Maria et Irma, les forêts ont été endommagées par le vent et les vagues d’eau salée. Cela a provoqué la disparition de la nourriture des animaux nectarivores et frugivores, comme les colibris, qui se sont retrouvés brutalement affaiblis.

De l’eau jusqu’au plafond chez des chauves-souris

En ville aussi les animaux sauvages peuvent être touchés par les effets des ouragans. Même ceux auxquels on ne penserait pas, comme les chauves-souris !
Le 27 août dernier, après le passage de l’ouragan Harvey à Houston, aux Etats-Unis, l'inondation qui touche la ville atteint un pont abritant une colonie de 250 000 tadarides du Brésil, une chauve-souris insectivore.

La disparition de cette colonie n’aurait pas été sans conséquences sur l’environnement local. Ces animaux consomment de grandes quantités d’insectes, dont des moustiques qui prolifèrent en cas d’inondations et qui peuvent transmettre des maladies.

Heureusement, les habitants sont venus en aide aux chauve-souris qui ont été prises en charge par un centre de soin aux animaux sauvages.

Ouragan biodiversité
Mouette de Sabine actuellement présente sur le Lac de Neuchâtel. Cette espèce originaire du Canada et du Groenland a été déportée de sa route vers l'Atlantique sud. / © Daniel Gebauer sur ornitho.ch
Catégorie

Sciences

Ces produits pourraient vous intéresser

Une vie pour la nature

19.90 €

Agir pour la nature – Balcons et terrasses

19.90 €

Le grand livre de la nature

69.00 €

Les plantes sauvages

49.00 €

Découvrir tous nos produits

Poursuivez votre découverte

Dessins Nature
Dessins Nature
Abonnés

Le pic tridactyle, un allié des forestiers qui disparaît

Retour sur les troncs avec le pic tridactyle, l’un des alliés les plus efficaces du forestier… pour autant qu’on le laisse faire !

Dessins Nature
Dessins Nature
Abonnés

Comment observer les planètes du système solaire ?

Avec la Terre, sept autres planètes tournent autour du Soleil, chacune à son rythme. En ce moment, Mars et Saturne sont invisibles, Vénus se devine peu après le coucher du Soleil. C’est Jupiter qui règne au milieu des étoiles.

Ma planète
Ma planète

Le réchauffement climatique expliqué aux enfants

La Salamandre Junior a créé des vidéos pour aider les 8-12 ans à mieux comprendre les enjeux de notre planète. Dans cette vidéo, les enfants découvrent le réchauffement climatique. Il fait de plus en plus chaud… La banquise fond ! Partout ...

Nos 3 revues

Revue Salamandre

Plongez au coeur d'une nature insolite près de chez vous

Découvrir la revue
8-12
ans

Salamandre Junior (8 - 12 ans)

Donnez envie aux enfants d'explorer et de protéger la nature

Découvrir le magazine
4-7
ans

Petite Salamandre (4 - 7 ans)

Faites découvrir aux petits la nature de manière ludique

Découvrir le magazine

La Salamandre est un éditeur indépendant et sans but lucratif entièrement dédié à une cause essentielle : faire aimer la nature. Partez à la rencontre d'animaux petits et grands ou de plantes incroyables qui vivent tout près de chez vous.

Salamandre newsletter
Nos images sont protégées par un copyright,
merci de ne pas les utiliser sans l'accord de l'auteur